Жеруха (водяной кресс) - лечебные свойства

Жеруха (водяной кресс). Это теневыносливое растение, растет в холодной проточной воде лесных родников. Сушить его нельзя, так как при сушке оно теряет лечебные свойства. Жеруха очень эффективна при сахарном диабете, используется…
Трава - Манжетка обыкновенная: лечебные свойства, применение, противопоказания

Манжетка обыкновенная: какими только именами не называет это растение народ — и грудная трава, и богова слезка, и горлянка сердечная… И все благодаря ее лечебным свойствам. Растет на опушках леса, по краям болот…
Лопух (репейник), корень лопуха - лечебные свойства, применение в народной медицине

Независимо от места, где мы живем, — неважно, в городе или сельской местности — мы встречаемся с этим растением. Оно всегда рядом с человеком — стоит свернуть с шумной городской улицы в ближайший скверик, и, если приглядеться…
Чистотел большой: лечебные свойства, применение для лечения болезней, противопоказания

Не писать сегодня о чистотеле большом просто невозможно. И не потому, что это всем известное, популярное лекарственное растение. В последнее время к нам начали обращаться больные, жалующиеся на дискомфорт в органа…
Левзея или маралий корень - настойка, экстрат - применение в народной медицине

Охотник, алтаец или шорец, ранил марала, долго его преследовал, но загнать не мог: уже сам выбился из сил. И вот заметил, что марал на ходу ест все время одну траву …. Попробовал сам заварить из нее чай — и словно крылья обрел! Почувствовал…
Рябина красная - полезные и лечебные свойства

В старину недаром про рябину народ складывал песни и сказки. И хотя мы уже не раз писали о полезных и лечебных свойствах красной рябины, самое время еще раз напомнить о том, какая огромная сила скрыта в плодах этого привычного и милого дерева…
Будра плющевидная: полезные свойства, применение для лечения болезней

Будра плющевидная (грудная трава). Это очень полезное растение, хотя редко в каком травнике встретишь его описание. Оно невысокое — 10-15 см, цветки сине-фиолетовые, запах напоминает мяту, за что в народе его прозвали «собачьей мятой…

Кто из нас не любовался трогательно-нежными цветочками, которые встречаются в любом саду — фиалкой трехцветной или анютиными глазками? Наверное, все. Но мало кто задумывался, что это не просто красивые цветы, но и ценное…
Крапива: польза и вред для здоровья

Крапива двудомная. Для лечебных целей крапиву собирают во время цветения — с конца мая до конца августа. Рвут ее в перчатках. Для сушки листья раскладывают тонким слоем, чтобы не почернели. Сушка закончена, когда черешок становится…
Трава Зверобой: полезные и лечебные свойства, применение, противопоказания

Зверобой. Многолетнее растение, широко применяемое в медицине. «Без зверобоя нельзя лечить многие болезни… Сухой или свежий, он всегда эффективен», — писал известный травник М.Н. Носаль. Из нескольких видов зверобоя надо выбрать…
Трава Володушка золотистая: лечебные свойства, применение, противопоказания

Трава Володушка золотистая — многолетнее неприхотливое растение. Растет повсеместно — и вдоль дорог, и на лесных полянах. На вид хрупкое, изумрудно-зеленое, с нежными листьями, это растение обладает разнообразными полезными…
Крапива - полезные и лечебные свойства, отвар и настой для волос, народные рецепты

Старая народная мудрость гласит: «Одна крапива заменяет семерых врачей». Но мы, увидев её заросли, стараемся обойти стороной, на огороде упорно избавляемся от корешков. Несмотря на это, зелёная красавица появляется вновь и вновь, чтобы дарить…
Морошка: полезные и лечебные свойства, противопоказания, рецепты сока и варенья

В наших северных лесах первым делом зацветает янтарная ягода-морошка. Ей недаром дали такое солнечное название. Морошка, когда созреет, действительно похожа на янтарь. Пока она незрелая — красная, как обычная ягода, а как поспеет…
Эвкоммия вязолистная: полезные и лекарственные свойства, приготовление настойки

Родина эвкоммии вязолистной — Китай. Это дерево с хорошо развитой кроной, достигающее 20 метров высоты. Ствол и ветви покрыты коричнево-серой корой. Листья темно-зеленые, слегка морщинистые. Плоды — крылатые орешки. В нашей…
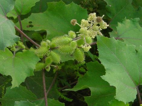
Трава Дурнишник обыкновенный: лечебные свойства и применение в народной медицине

Трава: Дурнишник обыкновенный — растение активно применяемое в народной медицине для лечения щитовидной железы, геморроя, экземы, некоторых мужских болезней. Полезные и лечебные свойства травы дурнишника разнообразны…
